agence immobilière brétignolle sur mer immobilier brétignolle sur mer le marais girard

Terrain
Saint-Benoist-sur-Mer

60 400 €
Réf. : 04248
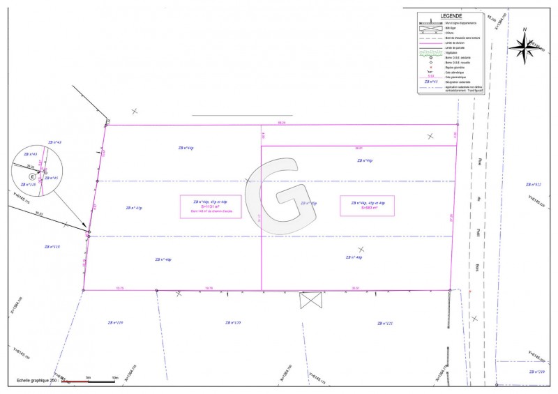
RÉF : 04248-JP Très jolie parcelle de 1131 m² à vendre non viabilisé, au calme, sur la commune de Saint Benoist Sur Mer. Terrain disposant d'une belle largeur de façade. AGENCE GROLLEAU ANGLES- 02.51.29.16.61 Tous nos biens sur www.agence-grolleau.com

Les informations sur les risques auxquels ce bien est exposé sont disponibles sur le site Géorisques : www.georisques.gouv.fr

Réf. : 04248
Prix H.A.I. : 60 400 €
Surface habitable : 1131 m²
Surface du terrain : 1131 m²
Visite virtuelle
Calculatrice financière
%
ans
télécharger au format PDF
Votre impression a été lancé.

Si ce n'est pas le cas, cliquez ci-dessous : Imprimer

Partager avec un ami

Indiquez l'adresse e-mail du destinataire, ainsi que le message que vous souhaitez lui envoyer

Contacter le négociateur
Annonce 68 / 881